Τα είδη του γένους Σαρδίνης (Sardina), κοινώς γνωστά ως σαρδέλες, είναι απ’ τα πιο διαδεδομένα στο ευρύ κοινό εμπορεύσιμα είδη ψαριών και συναντώνται στις περισσότερες θάλασσες.
Μήκος: Το μέγιστο καταγεγραμμένο μήκος είναι 27,5 εκ, ενώ το μέσο μήκος είναι 20 εκ.
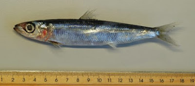
Μορφολογία: Το σώμα του είδους είναι υποκυλινδρικό, με στρογγυλή κοιλιά που στα νεαρά άτομα είναι περισσότερο συμπιεσμένη. Το βραγχιακό άνοιγμα είναι στρογγυλεμένο στο οπίσθιο μέρος, χωρίς να φέρει σαρκώδεις εκφύησεις. Φέρει μόνο μαλακές ακτίνες σε όλα τα πτερύγια.
Χρώμα: Ο χρωματισμός της ράχης είναι πράσινο-καφέ και κατά μήκος των πλευρών φέρει μία μπλε λωρίδα. Η κοιλιά είναι χρώματος ασημί ή λευκού, ενώ τα πτερύγια είναι άχρωμα, εκτός του ραχιαίου που έχει έναν απροσδιόριστο ελαφρύ χρωματισμό.
Βάρος: -/-
Περιοχές - Εποχή: Την βρίσκουμε σε όλη την Ελλάδα και όλο τον χρόνο, όμως την Άνοιξη μπορούμε να την βρούμε σε μεγάλα κοπάδια.
Τρόποι ψαρέματος: Ψαρεύεται από επαγγελματίες ψαράδε με ειδικά κυκλικά δίχτυα όταν δεν έχει φεγγάρι.
![]() |
| Σαρδέλα, Στρογγυλοσαρδέλα (Etrumeus teres) |
![]() |
| Σαρδέλα, Παπαλίνα (Sardina pilchardus) |
![]() |
| Σαρδέλα, Παπαλίνα (Sprattus sprattus sprattus) |








0 σχόλια:
Δημοσίευση σχολίου